Hrastove šume na području Kozare zahvaćene su hrastovom mrežastom stjenicom, dok u voćnjacima koji gravitiraju ovoj planini nije evidentirano širenje ove štetočine, rekao je Nemanja Cvijić iz Šumskog gazdinstva Prijedor.

“Šumsko gazdinstvo Prijedor je trenutno fokusirano na praćenje eventualnog širenja štetočine i na to da li napada voćke. Zasad tako nešto nije zabilježeno”, rekao je Cvijić.

On je pojasnio da situaciju otežava to što nije poznata mjera protiv ove vrste, koja je nova i kao takva nema ovdje prirodnih neprijatelja.

“S obzirom na to da je riječ o relativno skoro determinisanoj alohtonoj vrsti, još nisu poznati prirodni neprijatelji koji bi imali uticaj na brojnost ove vrste u svrhu uspostavljanja biološke ravnoteže”, rekao je Cvijić.

On je podsjetio na to da insekt potiče iz Sjeverne Amerike i da se u Evropi pojavio prvi put 2000. godine u Italiji, zatim 2013. godine u Hrvatskoj, a 2017. godine u istočnim dijelovima BiH, da bi danas njime bile zahvaćene gotovo sve hrastove šume u BiH, kao što je to slučaj i sa Slovenijom i Mađarskom.

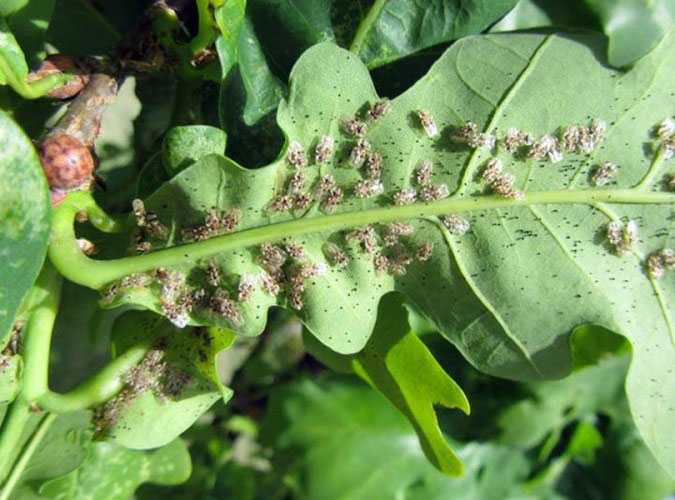
“Insekt ne izaziva direktno sušenje stabala, već, hraneći se unutar lista, uzrokuje promjenu boje lista u julu i avgustu, što skraćuje proces fotosinteze odnosno ishranu u toku vegetacijskog perioda”, pojasnio je Cvijić.

On ističe da to dovodi do fiziološkog slabljenja stabala kada su ona pogodnija za napad sekundarnih štetočina poput hrastove pepelnice ili hrastove imele.

Cvijić je ovo naveo u informaciji dostavljenoj Forumu za bezbjednost zajednice grada Prijedora.

On je precizirao da štetno djelovanje može uzrokovati smanjenje prirasta i prijevremeni urod žira, a time i ugroziti prirodnu obnovu.

Cvijić navodi da se ciklus razvića od jajeta do odrasle jedinke odvija se na naličju lista što otežava eventualni tretman hemijskim sredstvima, pa prskanje “odozdo” ne bi dalo željene rezultate.

SRNA
Foto – ilustracija